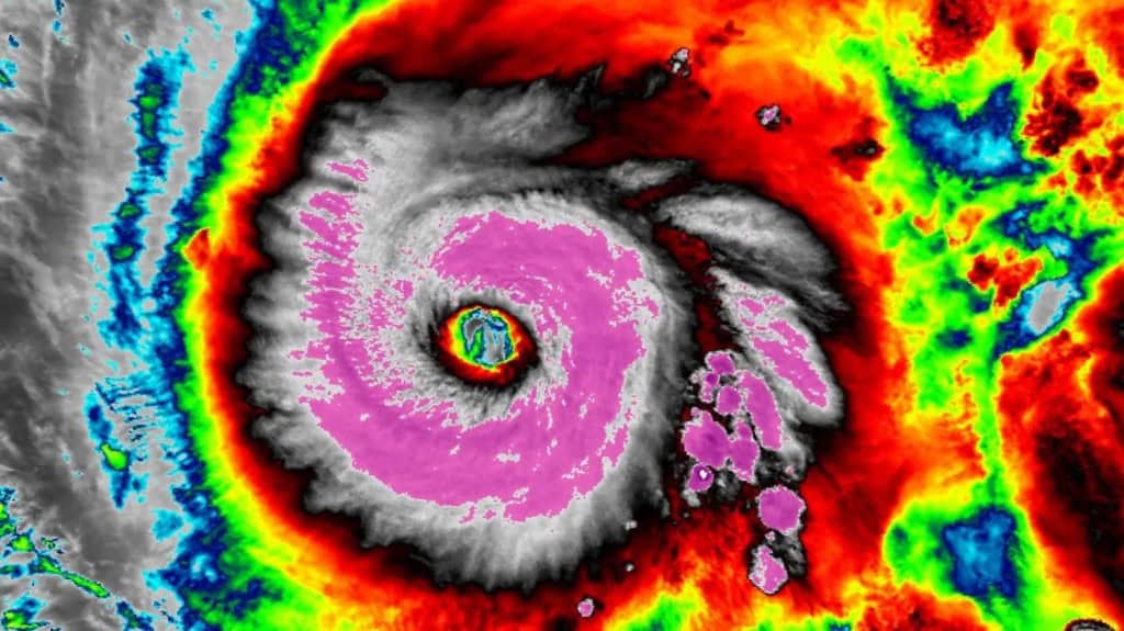
(Imagem: NOAA)
Nesta segunda, 27, o Furacão Melissa chegou à categoria máxima, atingindo ventos de 280 km. Somente nove furacões no Atlântico foram mais fortes do que o Melissa. Atualmente, quem ocupa o posto é o Furacão Allen, de 1980, que registou 305 km de ventania. Na Jamaica, o Furacão Gilbert, de 1988, foi o furacão de maior impacto do país. O Ministro do Trabalho e Previdência Social da Jamaica, Pearnel Charles, ordenou a evacucação para as áreas mais vulneráveis.
O ministro também ressaltou que os ônibus estão sendo usados para o transporte de pessoas aos abrigos em todo o país. “O OCHA e seus parceiros estão apoiando as autoridades antes de novos impactos”, afirmou o escritório em um comunicado. Depois da Jamaica, o furacão Melissa ainda deverá se tornar um grande furacão quando atingir o leste de Cuba com ventos devastadores, marés de tempestade e inundações potencialmente catastróficas.” – afirmou o Escritório de Coordenação de Assuntos Humanitários da ONU
(Fonte – R7).
O impacto do furacão
Não há previsão do furacão atingir os Estados Unidos. O furacão provocou quatro mortes e um desaparecimento na semana, sendo três no Haiti e uma na República Dominicana, além de ter danificado mais de 750 casas e deslocado mais de 3.760 pessoas. “Estou realmente preocupado com as pessoas”, afirmou à AFP Enrico Coke, um agricultor que encontrou refúgio em um bar em Flagaman, no sul do país. “Precisaremos de ajuda o mais rápido possível, especialmente água para a população”, adicionou.

(Fonte – Carta Capital).
Serviço Meteorológico da Jamaica alerta para maré ciclônica de até quatro metros ao longo da costa sul do país, deslizamentos de terra e inundações. São esperados até 51 cm de chuva e maré de tempestade com risco à vida. No Haiti, o furacão ameaça às colheitas, colocando a população em situação de insegurança alimentar.




